New Life Coming to Old Building
Throughout the history of La Alma Lincoln Park, there has not been much focus on architectural preservation. Many churches, schools, homes, businesses and even the incredible County Jail were either neglected or simply not valued enough to save. Without the structures to remind us, time obliterates the memories of our neighborhood’s past. Beyond reviving or adding to the historical record, part of my motivation behind sharing the gallery of Lost Landmarks is to suggest that it is important that we preserve the buildings that still stand, and that we should try to retain what is left in our custody. With that perspective in mind, I am approaching this topic at an interesting time. NEWSED (Near West Side Economic Development Corporation) has owned the property at 1029 Santa Fe for years and has made no secret of plans to redevelop the site into housing, likely as affordable units. It sounds like things are gearing up ready to move forward. I have been thrilled to know that the brick facade of the building is planned to be preserved!
More recently, the question of whether or not to preserve the painted sign on the north facing side was brought up for input. I really hadn’t put much thought into preserving the sign until I was asked. In looking at the entry in the rendering, I suppose saving the sign was already in the designers’ minds. The current plan calls for the removal of everything but the street-facing front facade and construct all new units all the way to the southern wall of the newly renovated Colorado Ballet Headquarters, filling in the parking lot facing the painted ad sign.
Not able to decide whether I could judge the historic value yet, I knew I had to move this subject to the top of my list, and share my findings before we lose another landmark forever. To be fair, I live directly behind the building and should disclose my affection for the existing brick that fills our landscape with an urban charm. I also strongly support investment in the community and the preservation of affordable housing, and really respect NEWSED’s work on both issues. This exciting project should move forward, but I think judgments of architectural or historic value should be accompanied with as much information as we can gather.
Significant Historic or Architectural Value?
Before I get into the structure and history, I wanted to detour into the relevant subject of “Ghost Signs,” or painted advertising signs as unique historic artifacts:
“The painted brick-wall advertising medium is a historic feature found in numerous locations throughout (Denver). It is a form of advertising that combines art, craft, and industry and that has faded from modern city life.This medium had it’s peak production from the mid-nineteenth to mid-twentieth centuries. The sign became a part of the structure, custom shaped to fit the location, with a life span that often exceeded a hundred years. The “wall dogs”- as the painters were called- coated Denver soon after construction of the first brick walls. Painters used a number of approaches to create the wall art. Some used a small drawing to refer to as they copied it freehand onto the surface. Others took a small rendition of the ad, blocked out one-inch sections, calculated the scale…and transferred the design section by section. Still others used the same method developed be Renaissance fresco painters, the ponce pattern. All these approaches were complicated by the rough, uneven texture of the brick facades.The work of the wall dogs involved equal parts painter, artist, and acrobat. Safety measures consisted of a single rope tied to the rooftop, which the painter held in one hand while painting with the other, as he sat on a platform called a swing stage. Two men could finish a wall in a day and earned a $1 an hour for their efforts. Prior to WWII, very heavy lead-based paint was used. With increased competition from electrical signs and the growing use of billboards, painted brick-wall advertising began to disappear.”
from Historic Denver‘s Guide of the Lower Downtown Historic District by Barbara Gibson.
It is also my understanding that they are called “Ghost Signs,” because even after the paint pigment fades the lead remains on the wall, and when made wet by weather, pops out more visibly to the naked eye.
Now back to Amick and the building itself.
A Ralroad Man from Missouri
Arther H. Amick arrived in Denver in 1894 from Moberley, Missouri. He was on his way to California to recuperate from a serious work-related accident, but fell in love with Denver and stayed. He was accompanied by his parents, James Madison and Louisa, his wife, Rosie, and baby boy, Roy. Second son, Roscoe, arrived in 1895.
He would become a prominent figure in Denver, as we learn from a published account of his life and career:
“The father (James) was for many years connected with the Wabash Railroad Company in the mechanical department at Moberly, but in 1894 resigned his position and removed to Denver to make this city his future home…Arthur, who in early life attended the public schools of Moberly, Missouri, and afterward became an employee of the Wabash Railroad, working in the mechanical department under the direction of his father. He continued with the company until he came to Denver to reside…Shortly after reaching the city he turned his attention to the transfer business, beginning with one team. Throughout the years he has continued in the same business and from a modest beginning has developed his interests until today he is at the head of an incorporated company, owning its own large and commodious storage warehouse, together with seven automobile trucks and four large vans, besides two flatwagons. The warehouse is a large modern building used for the storage of household furniture and other purposes. It is located at No. 1035 Santa Fe Drive. Mr. Amick employs a large force of workmen and assistants and his business has steadily developed along substantial lines, making it one of the profitable interests of the city.”
from HISTORY OF COLORADO ILLUSTRATED, VOLUME III, Wilbur Fiske Stone (1918)

Durable Vehicle-Durable Firm. An Amick model T-Pick Up truck from the Denver Post, 1970.
Denver Directory searches show that both Arthur and James were employed as expressmen for their first decade here. They likely found their railroad experience useful in this endeavor, because although the position originated with stagecoach drivers and deliveries, the expressman of Amick’s day would manage the contents of a railcar. Much more than a courier, they were considered ethical agents of currency and other high-value merchandise, and enabled business to function at the regional and national levels. By the time the Santa Fe warehouse was acquired, Arthur Amick had already established offices at 1721 Stout, and was considered a well-respected member of Denver’s business community.
We get an update from a later profile:
“As mentioned, he stopped over in Denver, and on the advice of a friend, remained to become prominent in its life and affairs. In 1894, he started a transfer and storage business and by hard work, careful thrift, and courageous enterprise built his venture into one of the largest and best of its kind in the city and State. On June 13, 1945, he sold the ‘Amick Transfer and Storage Company’ to several men operate it under its old and distinguished trade name. At the time of retirement, Arthur H. Amick had built a modern three-story concrete warehouse where he packed and shipped all over the world when war did not prevent. He utilized some fifty-three thousand feet of floor space, operated five closed vans, six large trucks, and three ‘pick-up’ trucks. More than forty people were employed. All this fine business had been developed from a start with a horse and a wagon, making slow progress over city unpaved streets which frequently were a foot deep in mud. He has not only witnessed enormous changes and betterments in Denver, but in his own constructive way furthered this progress by his own life and endeavors.” from Colorado and It’s People (1948).
A few more fun tidbits:
A great snippet from a 1969 Westside Recorder article, As She Remembers It- Santa Fe Forty Years Ago :
“Beginning the 1000 block was, and still is the Amick Moving Company. The firm now uses large transports, a far cry from the dray horses of yesteryear. You can once in a while see iron rings on the curb where the horses would be tied.”
One reveals that the company lives on…
“Great Plains Moving & Storage Company has been in business in Colorado continually for over 100 years. Founded as Amick Transfer in 1896, it began as a local cartage company. Over time, it evolved into a regional moving company and ultimately into the household relocation, commercial moving, logistics and storage services operation.”
And from Ancestry.com, the Amick Name is probably an Americanized form of German Emig, a derivative of the Germanic personal name Emmerich.
A Warehouse on Santa Fe
As anyone could guess from looking, Santa Fe Drive is one of Denver’s old main streets. It has enough original buildings left to envision the vibrant retail, services, and jobs that this neighborhood once enjoyed. A lot has been torn down. The ones from before 1900 from were mostly brick, one- and two-story structures possessing a Victorian flair.

Santa Fe Drive 1913 from Denver Municipal Facts 1913 November 8. Courtesy DPL Western History Collection C352.078883 D4373muX2

Santa Fe Drive 1913. From Denver Municipal Facts 1913 November 22. Courtesy DPL Western History Collection C352.078883 D4373muX2
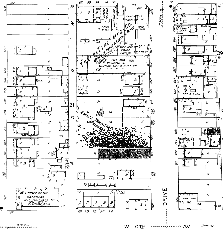
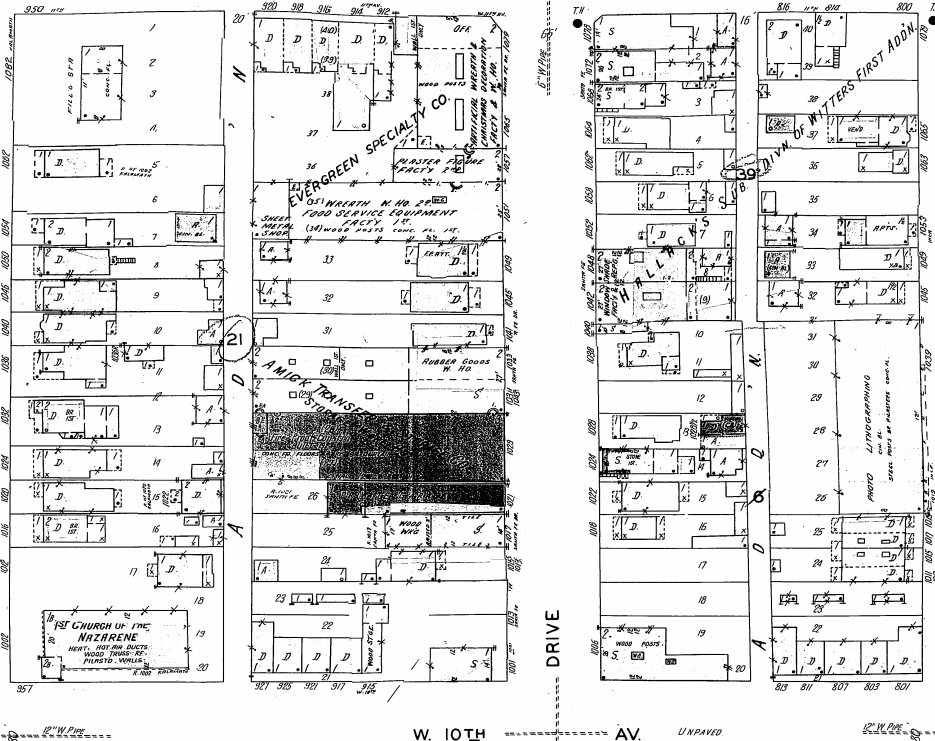
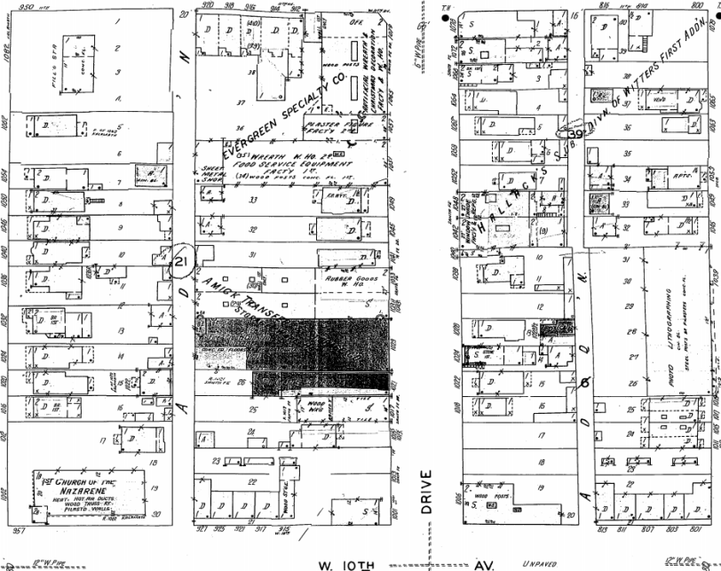
By 1923, the Amick Shipping and Storage Co.warehouse represented the next generation of Santa Fe Ave.
The structure is actually three buildings merged into one, hidden altogether behind the 1923 “Amick” facade. From a 1903-4 Sanborn Fire Insurance Map, it appears that a steam laundry facility existed in the NE section, at 1033-1037 Santa Fe. I was unable to find anything more on this business, although Warehouse Furniture Co. was listed at both 1031and1033 in Denver Directories throughout the twenties. The Sanborn map dated 1929-51, shows “Rubber Goods W. Ho.” in that same space, with Amick Storage and Transfer extending behind. The maps offer limited insights, especially because of the heavily darkened areas. The shading is likely an indication of the fireproofing features, and other research suggests he owned the properties a bit earlier than the 1923 construction project..
- Amick Location on Sanborn Map Denver 1903-1904vol.1,1903, Sheet 56. Courtesy DPL.
- Amick on Sanborn Map Denver 1929-1930vol.2,1929, Sheet 236
- Amick on Sanborn Map Denver 1929-Dec.1951vol.2,1929-Oct.1951, Sheet 236
- Amick on Sanborn Map Zoom Denver 1929-Dec.1951vol.2,1929-Oct.1951, Sheet 236
From the rear of the building we can see why converting the building to residences would present some issues. The structural layout of modern residences would have difficulty with the short floors, and the brick itself doesn’t appear to be in the best physical condition. Coarser “common brick” was cheaper and was often used on walls not intended to face the public.
It was fireproof and functional, but looking back to the front, it is also obvious that some thought and effort went into its appearance.
Unlike some earlier Denver warehouses that utilized windows for sunlight, the later ones were spared the construction cost through the use of electricity. The mass of Amick’s street facing wall utilizes solid mahogany colored bricks, but to help break up the facade visually, uses blond bricks for the base, cornice and other decorative features. In the center of the wall, end-facing bricks create a diamond shape and spell out “Amick.” It appears that the feature has been painted with red lettering over a beige-like color that comes close to the blonde brick. Brick patterns of contrasting colors and inset signs were popular features in early twentieth century commercial buildings.
The building connects to another historic theme. From before the turn of the twentieth century, intellectuals and artists were in search of ways of breaking from the classic traditions; to be modern, avant-garde, etc. “Moderism” and “Art Deco” are broadly identified with this movement and the Amick building would subtly connect to those classifications. The popularity of skyscrapers made modern builders look upward, and placed lines to draw our eyes vertically. The four window bays help achieve this effect. They are spaced evenly, and though column-like, are wider at the base.

The shapes draw inspiration from ancient Egypt but reflect the popular culture of the day.The discovery of King Tut’s tomb in 1922 captured the world’s imagination and sparked a revival in art and architecture. Below is an image of an Egypt’s PhilaeTemple to help visualize the reference.
Preservation is Economic Development, too!
Research suggests a strong link between historic preservation and economic development. With Santa Fe Drive striving to become a more vital and inviting place, retaining the Amick “ghost sign,” is worth all consideration. Behold Lodo, the city’s shining example of historic preservation, tourism, and adaptive reuse. Warehouses and painted signs are part a big part of the landscape that attracts both residents and visitors. Santa Fe Drive and La Alma Lincoln Park could only benefit from saving and promoting our existing historic assets.
Fun Preservation Links:
Measuring Economic Impacts of Historic Preservation: A Report to the Advisory Council on Historic Preservation, November 2011
http://www.achp.gov/docs/economic-impacts-of-historic-preservation-study.pdf
PlaceEconomics, Donovan Rypkema: http://www.placeeconomics.com/
Sources
Colorado and It’s People, A Narrative and Topical History of the Centennial State, Personal and Family History, Vol.3, “Arthur H. Amick”, Lewis Historical Publishing Co, New York, 1948.
HISTORY OF COLORADO ILLUSTRATED, VOL III. The S. J. Clarke Publishing Company, Chicago,1918.
Gibson, Barbara, The Lower Downtown Historic District, Historic Denver, Inc., Denver, 1995.
Much thanks to brick and building expert, Diane Travis , for her professional insights and informed perspective.












Pingback: Veronica Barela: Love of Community Drives Sustainable Change [The Profile] | Across the Creek